To Cut or Not To Cut: Foreign Body in a Dog?

ArticleLast Updated November 20122 min readWeb-Exclusive
Featured Image

Patient: 8-year-old castrated Dachshund

History: Vomiting and anorexia of 12 hours’ duration

Physical Examination: 4-5% dehydrated and painful on abdominal palpation

Featured Image

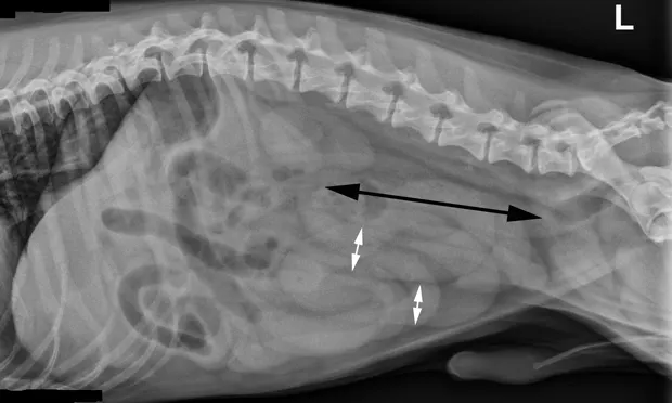
Radiographic Findings: The stomach is gas-filled. Small intestines are diffusely and moderately distended with fluid and gas (white arrows). The colon is also filled with gas and some mottled-to-homogeneous soft tissue opacity (black arrow). Remaining organs and serosal detail appear normal.

Abdominal radiographs: Left lateral (above) and ventrodorsal views (left)

Should this dog go to surgery or not? 

Comments: The patient was treated with IV fluids and antiemetics and developed diarrhea shortly after initiation of supportive therapy. He defecated a seed pod foreign body, and recovered uneventfully.

Outcome: The diffuse nature of the small intestinal distension and addition of diarrhea make a diffuse inflammatory intestinal process more likely than obstruction. Typically, presence of diarrhea in a vomiting patient places intestinal obstruction lower on the differential list. However, there are some exceptions to this rule, particularly in patients who have dietary indiscretion, intussusception, or have an intestinal tumor. This is a challenging case and demonstrates that supportive care and time may eliminate the need for surgery. The patient may have been partially obstructed in the distal small bowel, causing the majority of small intestines to be moderately distended. Rehydration may have relieved obstruction, or, alternatively, the foreign material and subsequent irritation may have caused an enterocolitis without obstruction.

To Cut or Not to Cut is intended as a forum for those with specialized expertise to share their case experiences. As such, the content reflects one expert’s approach and is not subject to peer review.

Related Articles:To Cut or Not to Cut: Foreign Body in a Cat?Feline Intestinal Foreign BodiesCompressed Vegetable Chew Treats: A Common Gastrointestinal Foreign Body