Radiology: Developing Technique Charts
Laura J. Armbrust, DVM, DACVR, Kansas State University
Accurate assessment and interpretation of a radiographic image is multifactorial, with one of the most important factors being the acquisition of high-quality radiographs. Many considerations must be taken into account when assessing radiographs for diagnostic quality: optimal density and contrast, proper positioning, and minimal patient motion.
A reliable, user-friendly technique chart is important for obtaining consistent radiographic density and contrast. When film, cassette, or machine type is changed, technique charts need to be changed as well. With digital radiography becoming more common, it may seem less important to have accurate technique charts; however, digital systems still cannot correct for some underexposure and overexposure issues.
Step-by-Step: Radiographic Technique Charts
To develop a technique chart for conventional film-screen radiography, use the following guidelines:
Step 1
Produce a milliampere (mA) chart by using all the available mA settings on your machine and all the time settings less than one tenth of a second. It should look similar to the chart below. This would be a machine that had settings of 100, 200, and 300 mA and 4 time settings.
These values (1.25 mAs-30 mAs) will be your options for exposure settings when generating your techniques.
Procedure Pearl
A general rule of thumb for mA settings for patient weight is:• < 10 kg = 2.5 mAs-5 mAs• 10-25 kg = 5 mAs-10 mAs• > 25 kg = 10 mAs-15 mAs
Step 2
Determine the starting peak potential (kVp) by taking a lateral abdominal film of a small dog with normal body condition. Remember to use accurate measuring calipers and measure the dog at the widest point (ribs 12 and 13) as depicted in Figure A. A small dog should be used so the measurement doesn't exceed 10 cm, thereby avoiding use of a grid.
Take the measurement in centimeters and multiply by 2, then add the result to the focal film distance (FFD, Figure B), which is the distance between your tube head and the x-ray film (a standard measurement is 36-40 inches). This formula equals your starting kVp: 2 (patient measurement in cm) + FFD = kVp
For example, if the dog measures 9 cm and the FFD is 38: 2 (9 cm) + 38 in = 56 kVp


Step 3
Take 3 exposures using the same kVp (56 in this case), but vary your mAs. In general, use your mAs combination with the fastest time to decrease motion artifact. With most equipment, selecting the 200 mA station will enable you to use the 3 fastest time settings (which would be appropriate for a dog of this size). Be sure to mark your films with the differences in exposure so you can easily identify them after development.
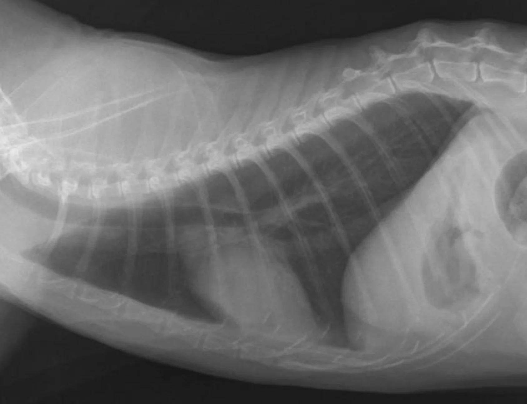
Remember to develop the films with fresh, clean developing solutions-old or exhausted developer will not work for developing technique charts. Examine the films for the setting that gives the best diagnostic quality. In Figure A, the kVp was 56, mA setting was 200, and time was 0.0125 seconds (mAs = 2.5). In this example, the bones are not easily visualized and the film overall is too white (underexposed).
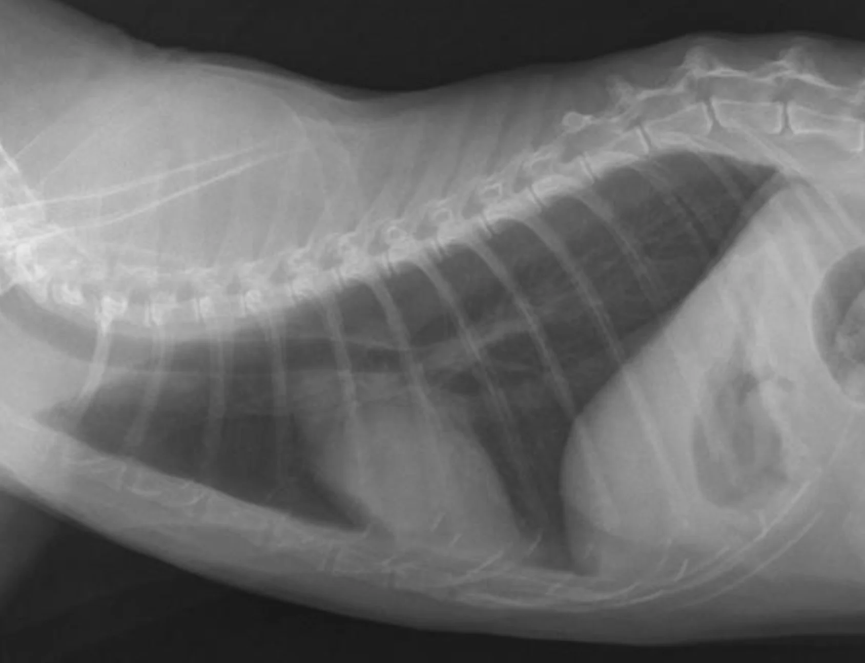
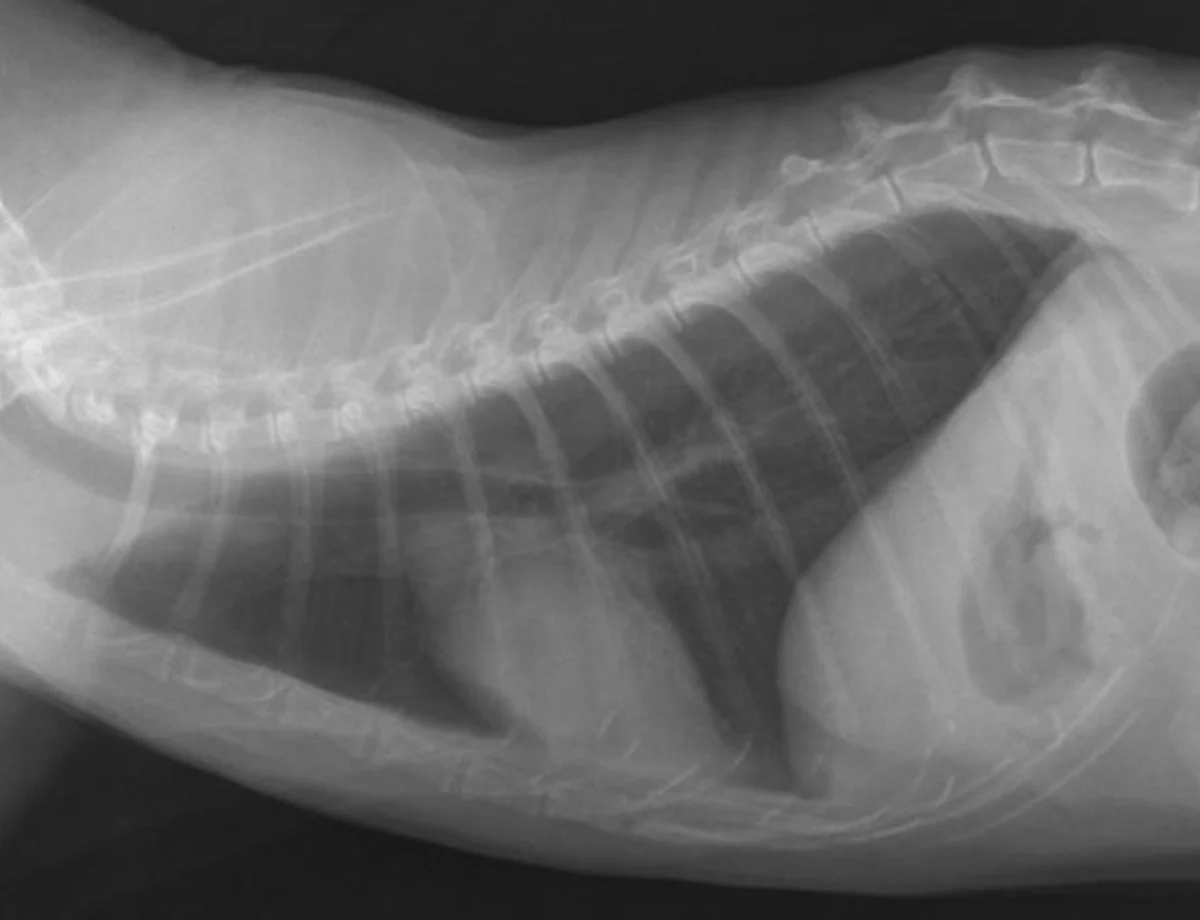
In Figure B, the kVp and mA were left the same and the time was changed to 0.025 seconds (mAs = 5). In this image, the body wall, abdominal organs, and bones can all be readily visualized; this is a proper exposure. In Figure C, the kVp and mA were left the same and the time was changed to 0.05 seconds (mAs = 10). With this higher exposure technique, the ventral body wall cannot be visualized, and the abdomen is too dark (overexposed).

A
Step 4
The chart can now be constructed because we know that 56 kVp and 5 mAs are appropriate settings for a dog measuring 9 cm. The chart's first column should record tissue thickness measured in centimeters (1-35 cm) and the second column should contain the kVp (the mAs will be added later). Be sure you are maintaining the same FFD for all radiographs or your technique chart will not work.
Start with the kVp already calculated from the dog, opposite the thickness for that dog, then:• Subtract 2 kVp for each centimeter thickness less than the 9 cm• Add 2 kVp for each increase in centimeter thickness up to 80 kVp• Add 3 kVp for each increase in centimeter thickness between 80 and 100 kVp• Add 4 kVp for each increase in cm thickness over 100 kVp.
At right is an example of what the chart would look like so far. The kVp for 11 to 35 cm is given in the chart below.
Step 5
When the patient's measurement is greater than 10 cm, a grid should be used (this usually means you will be putting the cassette in the table rather than putting the cassette on top of the table). The mAs previously determined as the best (5 mAs in this case) should be multiplied by a variable based on the following grid ratio:
5:1 grid: 2 × mAs
6:1 grid: 2-3 × mAs
8:1 grid: 3-4 × mAs
12:1 grid: 4-5 × mAs
16:1 grid: 5-6 × mAs
If you do not know the type of grid you are using, multiply the previously determined mA setting by 2, 3, and 4 if the patient's measurements are greater than 10 cm. In the case of a patient that measures 15 cm, the kVp would be 68 kVp and images would be taken at 10 mAs, 15 mAs, and 20 mAs.
Again, using the same parameters as in Step 3, determine the most appropriate exposure (in this example, 15 mAs produce the best exposed image). This mA setting will now be used throughout your chart for all patient thicknesses above 10 cm.
Step 6
Up to this point, you have only produced a technique chart for the abdomen. This chart can easily be adapted for the thorax and bones by leaving the first 2 columns the same (cm and kVp) and following these rules for the third column (mAs):
For the thorax, divide the abdominal chart mAs in half
For bone, double the abdominal chart mAs.
Step 7
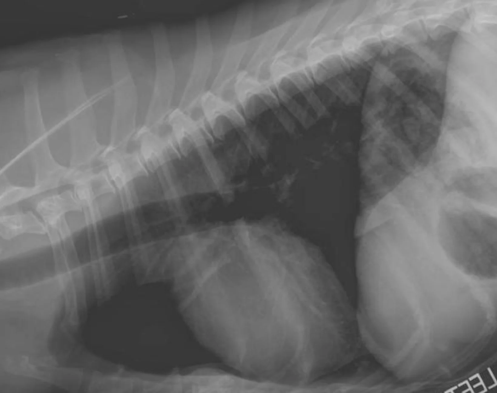
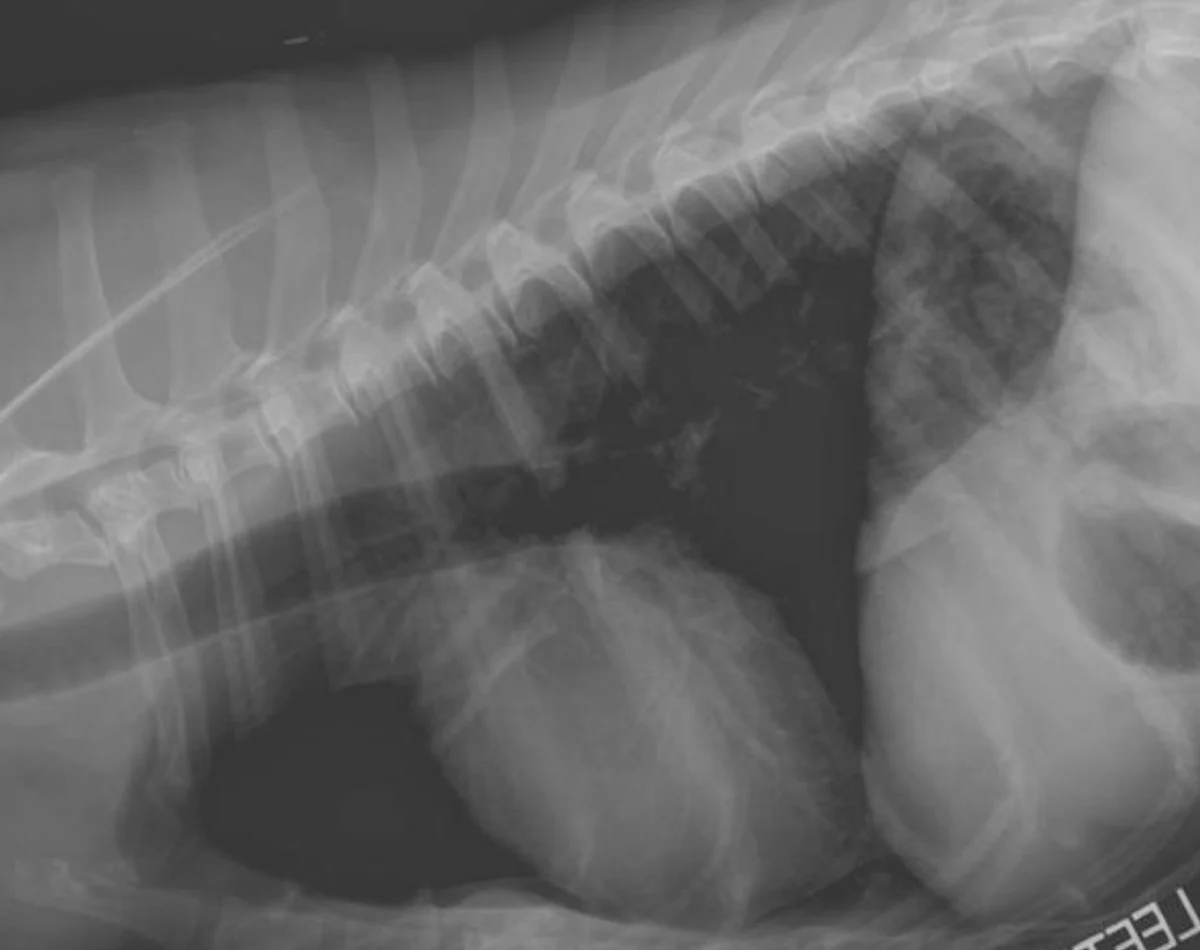
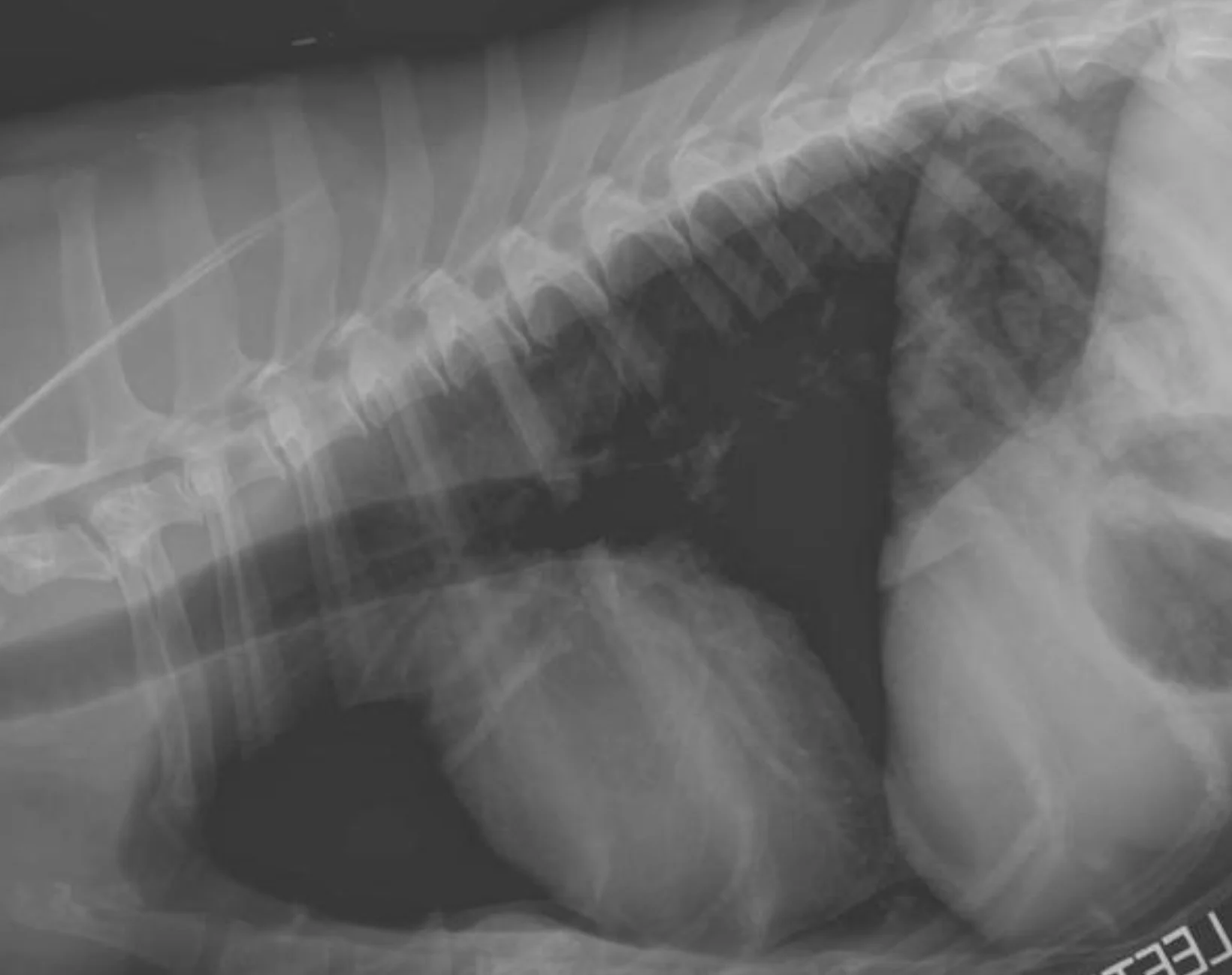
If you are using a digital radiography system, the software attempts to adjust brightness to correct for over- and underexposure. If a digital image is severely underexposed, however, the digital system cannot correct for it. The resulting image will look very grainy, as in this example of a cat thorax that was extremely underexposed (Figure A). Figure B shows the corrected technique.


In most cases, an overexposed radiograph will have soft tissue that cannot be seen, even with adjustments in brightness (window/level). In Figure C, the digital image is overexposed, which results in inability to see the lung in the cranioventral thorax and between the heart and diaphragm; this area will remain black with increases in brightness. The technique has been corrected in Figure D.


Procedure Pearls
If you are finding machine limitations relative to your technique charts, remember these rules of thumb:
Increasing kVp by 15% is equal to doubling the mAs in terms of exposure.
Decreasing the kVp by 15% is equal to dividing the mAs in half.
If you have reached maximum kVp on the machine but need more exposure, you can double the mAs.
If you have reached maximum mAs on the machine, you should increase kVp by 15%.
If you have reached maximum mAs and kVp, you can decrease your FFD.